Mercer Island City Council approves 34 new housing units
Published 1:59 pm Tuesday, March 15, 2016
The Mercer Island City Council unanimously approved final long plats for two new housing projects — Trellis and Coval — at its March 7 meeting.
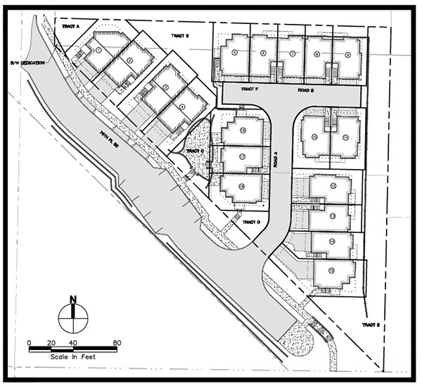
The Coval project, located at 3051 84th Ave. SE, will add 16 lots with open space and utility tracts. City crews have already built a new trail down 84th Avenue to connect the new neighborhood to Upper Luther Burbank Park and provide a safe route to the new elementary school. The Coval developers contributed $50,000 to the city’s street fund for the trail. One building permit has been granted so far, with construction on the others now set to begin.
The Trellis project, located at 2960 76th Ave. SE and 2970 76th Ave. SE and managed by Conner Homes, will create 18 town house lots from two existing parcels. The city has already granted building permits for each unit, though long plat approval was needed for the developer to instate a fee simple ownership structure.
The new townhomes are located northwest of Mercerdale Park, and Conner Homes contractors removed some trees on the Mercerdale hillside while working on the storm sewer line.
The city will be responsible for the reconstruction of the trail behind Bicentennial Park, as well as the revegetation of the hill, after reaching a deal with the contractors. While doing storm sewer work, Conner Homes put in conduits for the future undergrounding of Comcast and Puget Sound Energy facilities in that area. Power outages are a consistent problem on First Hill due to downed trees.
“This disturbs the corridor, we hope, only once,” said City Manager Steve Lancaster, adding that it also puts the ongoing improvement of that area under city control.
Below, the Coval housing project features 16 units, one of which is already being built. The eclectic Coval mansion was torn down to make way for the new houses, but its pool house roof has been preserved for use in the planned Mercer Island Center for the Arts (MICA).

