Developer says condos are not for everyone
Published 2:37 pm Tuesday, April 15, 2014
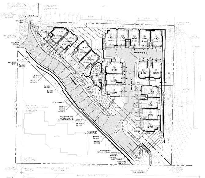
Two plots of land tucked behind Mercerdale Park and Farmer Insurance could be redeveloped into 18 townhouses, pending approval by the city. The plots, appraised at a total of $1.64 million, occupy about 1.18 acres combined and list as the owner Conner Homes of Trellis, LLC.
On April 2 the Planning Commission held a public hearing for the two side-by-side properties, at 2960 and 2970 76th Ave. S.E.
“This is a housing alternative that’s not available,” says Alan Boecker of Conner Homes, who has himself lived on Mercer Island for the last seven years. “The condos in the Town Center are not for everyone. This is an in-between solution.”
Early renderings depict a triangular plot of townhomes, sectioned off from the roadway on 76th Ave. S.E. The three-story homes, designed by Seattle firm Milbrandt Architects, would range in size from 1,900 to 2,400 square feet and would operate as “fee simple” town homes, meaning homeowners would have complete ownership of the home and the land underneath their unit.
Conner Homes has property throughout the area, including the Belmont in Bellevue, Piper’s Bluff in Renton and the Blackstone in Sammamish. In its application packet, the project is described as an “upscale townhome community” with a “nature rich outdoor environment” with landscape rooms, fire pits and seating areas. The letter also envisions a public-private partnership to help maintain and enhance the trailhead that runs south of the property. The developer plans to extend 76th Street partially down the hill. A retaining wall at the end of the road would be augmented by sculpture work.
If the project advances as planned, it could break ground as soon as June, leasing to its first residents within the year.
The Planning Commission will revisit the project at its meeting tonight, pending completion of a more detailed geotechnical analysis that will assess the risk of building as the development is in a potential landslide area.
Though the two projects are different in nature, preliminary plans for a long plat proposed at the site of the Island’s iconic Coval house — also featuring 18 homes — was rejected after neighbors raised concerns about the precedent it would set for Island zoning and real estate. They also worried about the environmental impact given its proximity to steep slopes, watercourses and the fact that more than 200 of the property’s 300 trees were expected to be razed in construction.
No wetlands have been identified on site of the Conner Homes property but according to a consultant’s review, ten of its 31 trees would need to be removed to accommodate the proposed development. A letter signed by Larry Hamlin, president of Mercerdale Park Condominium, also expressed support for the project, stating that representatives of Conner Homes had met with residents, listened to their concerns about the evolution of the neighborhood and worked together to resolve them.
Boecker explains as a resident of Mercer Island himself, he well understands the importance of consulting the community.
“[We would never] push something through without being thoughtful and being a good neighbor…It’s a process,” he said. “We’re very involved with the community and we will be for a long time.”

